High Yield Markets
  • World News
  • Politics
  • Investing
  • Stock
  • Editor’s Pick
Politics

WATCH LIVE: Hurricane Melissa Makes Landfall in Jamaica as a Monster Category 5 Storm (STORM CHASER VIDEOS)

by October 28, 2025
October 28, 2025

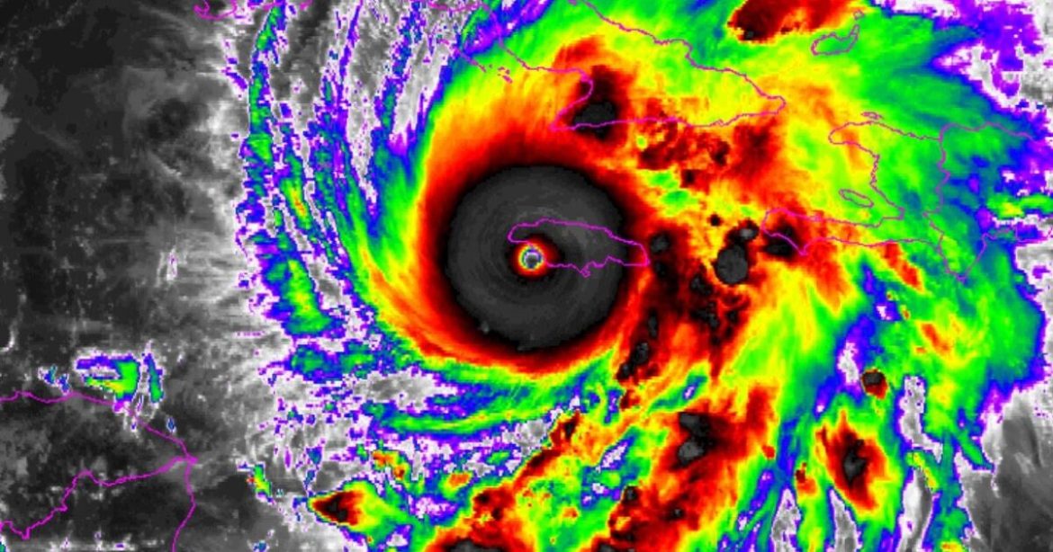
Satellite image of a powerful hurricane approaching Cuba, showcasing vivid colors and swirling clouds indicative of severe weather conditions.

Hurricane Melissa made landfall in Jamaica as a monster Category 5 storm on Tuesday.

Montego Bay is taking a direct hit with the record-breaking storm packing 185 mph winds.

Multiple deaths have been reported so far.

Satellite images show a very defined eye.

Satellite image of a powerful hurricane approaching Cuba, showcasing vivid colors and swirling clouds indicative of severe weather conditions.
Hurricane Melissa makes landfall in Jamaica as category 5 storm / satellite image

The cone shows that Hurricane Melissa will likely turn east and avoid the United States.

Hurricane Melissa forecast map showing projected path, current location, wind speeds, and advisory details from the National Hurricane Center, updated October 28, 2025.
Hurricane Melissa cone

AccuWeather reported:

The most powerful Atlantic hurricane of 2025 has plowed into Jamaica after days of unleashing heavy rain, strong winds and pounding surf across the Caribbean. The Category 5 storm was at peak strength when it roared ashore on Tuesday.

Melissa made landfall near New Hope, Jamaica, at 1 p.m. EDT Tuesday as a Category 5 hurricane with maximum sustained winds of 185 mph. It was the first time an Atlantic storm made landfall as a Category 5 since Hurricane Dorian in 2019.

At least seven fatalities have already been reported across the Caribbean due to the monstrous hurricane, which has been slowly tracking near Haiti, the Dominican Republic and Jamaica for days. The death toll is likely to rise as Melissa sweeps across Jamaica, eastern Cuba and the Bahamas.

“There is no infrastructure in the region that can withstand a Category 5,” Prime Minister Andrew Holness said, according to The Associated Press. “The question now is the speed of recovery. That’s the challenge.”

Storm chaser videos:

Via AccuWeather:

Live camera of Montego Bay, Jamaica:

LIVE CAM: The eye of Hurricane Melissa is approaching Montego Bay. We will be there LIVE as it happens. https://t.co/vf9ckNXG1z

— Off The Press (@OffThePress1) October 28, 2025

More:

The post WATCH LIVE: Hurricane Melissa Makes Landfall in Jamaica as a Monster Category 5 Storm (STORM CHASER VIDEOS) appeared first on The Gateway Pundit.

previous post
For the 13th Time, Schumer and His Power-Hungry Cronies REFUSE to Reopen the Government — Air Traffic Controllers Miss Paycheck as U.S. Military Set to Go Unpaid Friday
next post
Hard-Liner Prince William Reportedly Threatened Royal Future of Princesses Beatrice and Eugenie To Get Their Father Andrew to Leave 30-Room Royal Lodge

You may also like

California Allows Illegals to Not Only Vote but...

October 29, 2025

Trump-Pardoned J6 Patriot, Matthew Beddingfield, Lost Three Years...

October 29, 2025

JUST IN: Senate Votes 52- 48 to Nuke...

October 29, 2025

Swing-State Dem C-SPAN Caller Declares She’s DONE Voting...

October 28, 2025

Three U.S. Air Force Personnel Found Dead at...

October 28, 2025

Clinton Judge Orders DOJ to Submit All Documents...

October 28, 2025

CNN’s Harry Enten: Republicans’ Popularity Up 3 Points...

October 28, 2025

Watch Live: The WAR Zone Podcast With Wayne...

October 28, 2025

London: Afghan Given Asylum in UK Arrested for...

October 28, 2025

Japanese Army Called To Tackle Out-of-Control Bear Population...

October 28, 2025
Join The Exclusive Subscription Today And Get Premium Articles For Free


Your information is secure and your privacy is protected. By opting in you agree to receive emails from us. Remember that you can opt-out any time, we hate spam too!

Recent Posts

  • Bank Secrecy Act Q&A

    October 28, 2025
  • There’s a Right To Record ICE Raids–and There’s No Blanket Immunity for Raiders

    October 28, 2025
  • No, the Trump Administration Doesn’t Support Mass Student Loan Forgiveness

    October 28, 2025
  • How Federal Policy Locked Homeowners—and the Housing Market—in Place

    October 28, 2025
  • The Folly of Letting the Executive Control Spending

    October 28, 2025
  • About Us
  • Contacts
  • Privacy Policy
  • Terms and Conditions
  • Email Whitelisting

Copyright © 2025 highyieldmarkets.com | All Rights Reserved

High Yield Markets
  • World News
  • Politics
  • Investing
  • Stock
  • Editor’s Pick